Menü

Informationsveranstaltung Baugebiet „Moos I“ für die Anlieger

am 3. November 2022

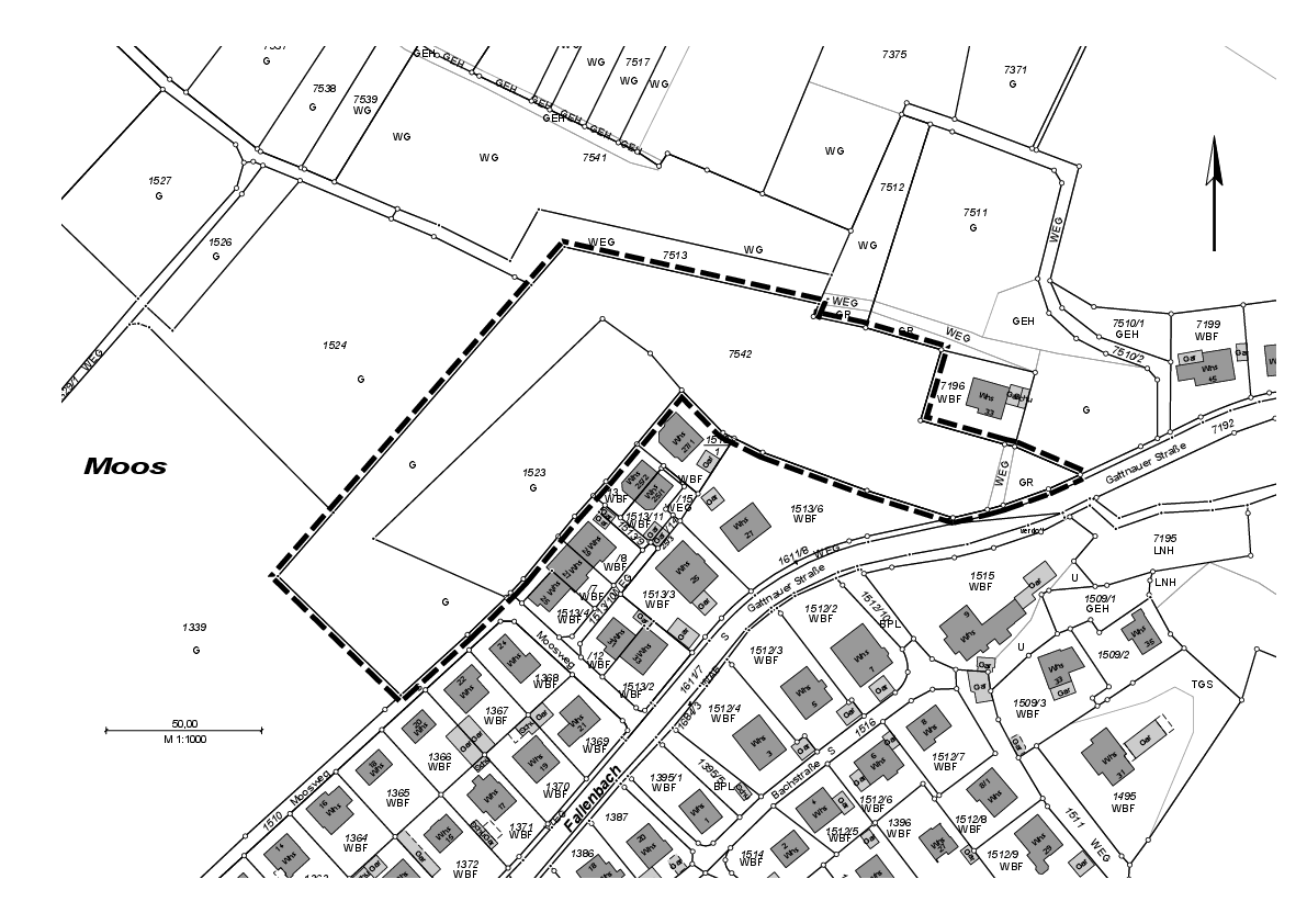
Die Gemeinde plant die Entwicklung eines Wohnbaugebietes in den Gewannen Moos und Maräzhalde. Es soll nördlich des Moosweges und nordwestlich der Gattnauer Straße liegen. Damit schließt das Plangebiet an die vorhandene Wohnbebauung an und ermöglicht einen Lückenschluss zwischen der vorhandenen Bestandsbebauung. Die Gemeinde hat vor Einleitung des Bauleitplanverfahrens die Eigentümer der Grundstücke, die im näheren Bereich des geplanten Baugebietes liegen, zu einer Veranstaltung am 03.11.2022 eingeladen, um über die Planungen zu informieren.
 

Kurzüberblick

Datum der Veranstaltung

03.11.2022 um 17:00 Uhr

Ort

Festhalle

Thema

Baugebiet Moos I

Teilnehmerinnen und Teilnehmer

  • Bürgermeister Daniel Enzensperger
  • Karin Wiech, Beauftragte für Bürgerbeteiligung
  • Thomas Feick, Sachgebietsleiter für Stadtplanung
  • Matthias Käppeler, Leiter Amt für Gemeindefinanzen
  • Mirko Meinel, Integrationsbeauftragter
  • Janine Höfer, Koordinationsstelle Kinderbetreuungseinrichtungen
  • Interessierte Bürgerinnen und Bürger
     

Auswertung

Bei der Informationsveranstaltung wurden die Anwesenden über das geplante Bebauungsplanverfahren informiert. Es war eine geschlossene Veranstaltung speziell für die Angrenzer des Baugebietes. Nach einer Begrüßung durch den Bürgermeister wurden die Anwohner über den Sachstand zum Baugebiet und den Grundstückserwerb informiert. Dabei wurde auch erläutert, dass die Gemeinde an dieser Stelle ein weiteres Baugebiet mit überwiegend Einzel- und Doppelhäusern entwickeln wolle, insbesondere sei der Bau sowohl einer Kinderbetreuungseinrichtung als auch einer Flüchtlingsunterkunft dringend notwendig. Abschließend konnten die Anwohner Fragen stellen und diskutieren. So wurde die Verkehrsproblematik im geplanten Baugebiet angesprochen und darauf hingewiesen, dass die Verkehrsführung jetzt schon eng sei. In diesem Zusammenhang wurde seitens der Verwaltung zugesichert, dass für das ganze Gebiet ein Verkehrskonzept erstellt werde, um die Probleme mit der Verkehrsführung zu lösen. Allerdings könne man die Straßen nicht verbreitern. Eine Bürgerin bat um Auskunft, wie viele Neubürgerinnen und Neubürger wohl zu erwarten seien. Hierzu teilte Bürgermeister Enzensperger mit, dass man mit 135 bis 140 Personen insgesamt rechne.

Die Veranstaltung war gut besucht und das Interesse war groß. Was das geplante Baugebiet betrifft, so hatten die Anwesenden insbesondere folgende Befürchtungen:

  • Zu massive Bauweise direkt an dem angrenzenden Wohngebiet Moos I, bestehendes Wohngebiet wird eingeengt
  • Vorhandene Infrastruktur wird zu stark belastet (Straßen, Wasser, Entwässerung, Verkehr)
  • Parkplätze müssen genügend geschaffen werden
  • Die Bebauung ist zu dicht geplant

Die Informationsveranstaltung war wichtig, um im Vorfeld gute Anregungen für die Planungen von den Bürgerinnen und Bürgern zu bekommen. Insgesamt kamen keine gravierenden Einwände zum geplanten Baugebiet, auch nicht zur Etablierung einer Flüchtlingsunterkunft oder einer Kinderbetreuungseinrichtung. Die Verwaltung hat eine weitere Informationsveranstaltung im Rahmen der frühzeitigen Beteiligung zugesichert.

 

Zurück